Domingo, 12 de Octubre 2025

Huracán "Rosa" se debilita a categoría 3

La Conagua señaló que el ciclón podría tocar tierra como tormenta tropical durante la noche de lunes o la madrugada del martes

Por: SUN

Sus bandas nubosas refuerzan el potencial de tormentas en los estados de Baja California Sur, Sinaloa, Nayarit, Jalisco y Colima. TWITTER / @conagua_clima

Sus bandas nubosas refuerzan el potencial de tormentas en los estados de Baja California Sur, Sinaloa, Nayarit, Jalisco y Colima. TWITTER / @conagua_clima

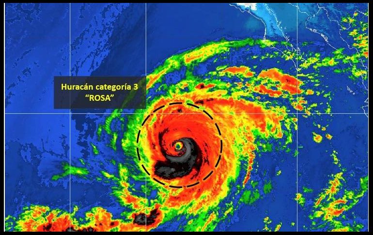
La Comisión Nacional del Agua (Conagua), a través del Servicio Meteorológico Nacional (SMN), informó que el huracán "Rosa" se degradó a categoría 3 en la escala Saffir-Simpson a las 16:00 horas, tiempo del centro de México.

A través de un comunicado, la Comisión señaló que el huracán se encontraba a mil cinco kilómetros al suroeste de Cabo San Lucas, en Baja California, con vientos de 195 kilómetros por hora, rachas de 240 kilómetros por hora y con desplazamiento al noroeste a nueve kilómetros por hora.

Señaló que sus bandas nubosas refuerzan el potencial de tormentas en los estados de Baja California Sur, Sinaloa, Nayarit, Jalisco y Colima, añadiendo que "sus vientos propiciarán que se incremente gradualmente la altura del oleaje mientras el ciclón se acerque a tierra".

Asimismo, previó que "el fin de semana, “Rosa” modifique su trayectoria hacia el norte y posteriormente recurve hacia el noreste, con dirección a la región central de la Península de Baja California", indicó, advirtiendo que, de mantener esas condiciones, el ciclón podría tocar tierra como tormenta tropical durante la noche del lunes 1 o la madrugada del martes 2 de octubre".

La Comisión llamó a la población a atender el llamado de las autoridades del Sistema Nacional de Protección Civil pues, al continuar las lluvias, podría haber deslaves, deslizamientos de laderas, desbordamiento de ríos y arroyos, además de afectaciones en vialidades e inundaciones.

LS

Temas

Lee También

Recibe las últimas noticias en tu e-mail

Todo lo que necesitas saber para comenzar tu día

Registrarse implica aceptar los Términos y Condiciones