Internacional Niscemi, en Sicilia, al borde del abismo; deslizamiento de tierra obliga a evacuar a mil personas
Internacional Al menos 11 muertos al derrumbarse un edificio en Bombay 9 de junio de 2021 - 23:15 hs India Asia
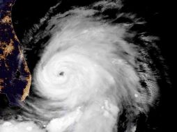
Internacional El ciclón "Yass" provoca tres muertes a su paso por India 26 de mayo de 2021 - 12:53 hs India Asia
Internacional Entra en erupción el volcán Nyiragongo, en el este del Congo 22 de mayo de 2021 - 14:41 hs República Democrática del Congo África
Internacional Fuertes tormentas en el sur de Estados Unidos dejan al menos tres muertos 4 de mayo de 2021 - 12:19 hs Estados Unidos Norte América
Jalisco Gobierno federal alista declaratoria de emergencia por sequía en Jalisco 21 de abril de 2021 - 03:00 hs Sequía Gobierno de Jalisco
Internacional Explosión volcánica sacude la isla caribeña de San Vicente; evacuan a miles 9 de abril de 2021 - 16:08 hs San Vicente y las Granadinas Caribe
Internacional Paso de tornado en Alabama deja al menos cinco muertos 25 de marzo de 2021 - 19:19 hs Tornados EU Estados Unidos
Internacional La OMM retira nombres de huracanes y elimina el uso del alfabeto griego 17 de marzo de 2021 - 16:00 hs Huracanes Clima
Internacional A diez años del tsunami que arrasó Japón, las heridas siguen abiertas 9 de marzo de 2021 - 12:57 hs Japón Asia