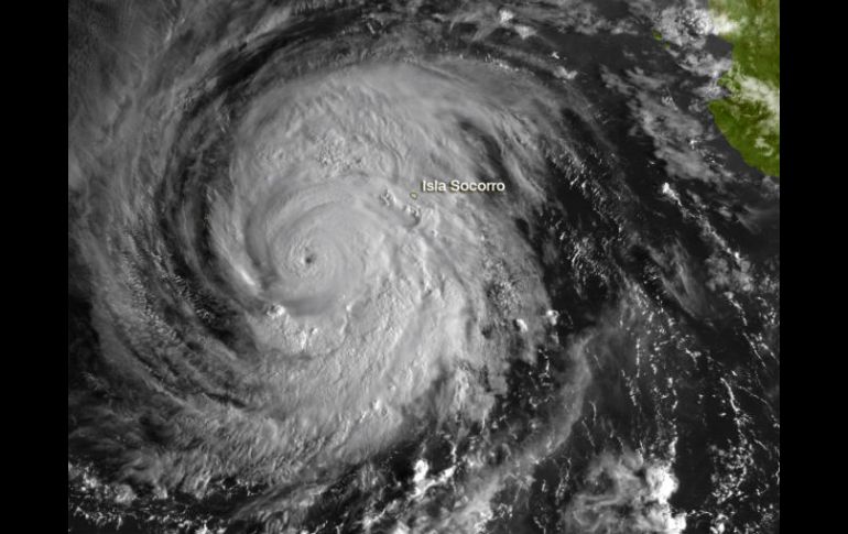
México | El fenómeno provocará lluvias, vientos fuertes y oleaje elevado en varios estados Alerta verde por “Miriam” decretada en Baja California Sur De acuerdo con el aviso, el huracán se localiza a 655 kilómetros al sur-suroeste de Cabo San Lucas y mantiene un desplazamiento de 19 kilómetros por hora, con dirección noroeste Por: SUN 24 de septiembre de 2012 - 13:56 hs Imagen tomada por el GOES-14 del huracán Miriam. AFP / LA PAZ, BAJA CALIFORNIA SUR (24/SEP/2012).- El Sistema Nacional de Protección Civil (Sinaproc) decretó para Baja California Sur alerta verde -acercamiento, prevención- por la presencia de “Miriam” en el Pacífico mexicano, que se intensificó esta mañana de lunes a huracán tres en la categoría Saffir-Simpson. De acuerdo con el aviso, el huracán se localiza a 655 kilómetros al sur-suroeste de Cabo San Lucas y mantiene un desplazamiento de 19 kilómetros por hora, con dirección noroeste. El huracán ocasiona una fuerte nubosidad, en un radio de 250 kilómetros, que se desprende a los estados de Colima, Jalisco y Nayarit, lo que favorecerá lluvias importantes en la zona. Miriam, en su categoría tres, desarrolla vientos de 195 kilómetros por hora y rachas de hasta 230 kilómetros por hora. De acuerdo con el pronóstico del Servicio Meteorológico Nacional (SMN), el fenómeno provocará lluvias, vientos fuertes y oleaje elevado en los estados de Sinaloa, Nayarit, Jalisco, Colima, la península de Baja California y Michoacán, por lo que recomendó extremar precauciones en las inmediaciones del sistema. Se prevé que el ciclón mantenga su desplazamiento actual y se intensifique gradualmente durante este día. En Baja California Sur, autoridades de Protección Civil estatal iniciaron procedimientos de comunicación y mantienen el monitoreo al fenómeno que prevén ocasione lluvias importantes, en el territorio sudcaliforniano, especialmente centro y norte. Temas Estados Huracanes Baja California Sur Lee También ¿Bad Bunny fuera del Super Bowl? Este sería el show alternativo Poza Rica, inundado por desbordamiento del río Cazones Bad Bunny permanece sentado durante "God Bless America" y enciende las redes Lista actualizada de selecciones que ya clasificaron al Mundial 2026 Recibe las últimas noticias en tu e-mail Todo lo que necesitas saber para comenzar tu día Registrarse implica aceptar los Términos y Condiciones