Jueves, 09 de Octubre 2025

La OMM retira nombres de huracanes y elimina el uso del alfabeto griego

"Dorian", "Laura", "Eta" e "Iota" salen de la lista debido a la destrucción que provocaron a su paso

Por: AFP .

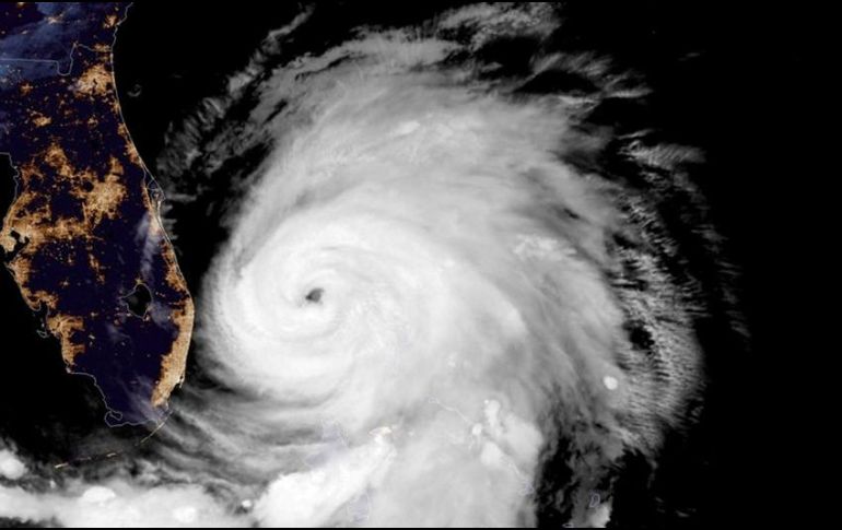
En total, 93 nombres han sido retirados de las listas empleadas para la región del Atlántico desde 1953. NTX/ARCHIVO

En total, 93 nombres han sido retirados de las listas empleadas para la región del Atlántico desde 1953. NTX/ARCHIVO

El Comité de Huracanes de la Organización Meteorológica Mundial (OMM) anunció este miércoles que retiró de la lista para denominar los ciclones tropicales del Atlántico los nombres "Dorian" (2019) y "Laura", "Eta" e "Iota" (2020) debido a la estela de muerte y destrucción que dejaron a su paso.

"Los huracanes no entienden de fronteras internacionales. Todos encaramos peligros similares debidos a los sistemas tropicales"

Los cuatro nombres fueron borrados de la lista después de una reunión de dos días del Comité de Huracanes de la OMM, órgano competente en la materia para América del Norte, América Central y el Caribe.

El trabajo del comité "es fundamental para velar por la coordinación entre naciones mucho antes de que la próxima tormenta amenace a la población", dijo Ken Graham, director del Centro Nacional de Huracanes de Estados Unidos.

"Los huracanes no entienden de fronteras internacionales. Todos encaramos peligros similares debidos a los sistemas tropicales. Las consecuencias de una sola tormenta pueden afectar a varios países, por lo que es fundamental que dispongamos de un plan, coordinemos esfuerzos y pongamos en común las dificultades encontradas y las mejores prácticas", agregó.

A lo largo de la temporada anual de huracanes que comienza el 1 de junio, a las tormentas se les asignan nombres masculinos y femeninos en orden alfabético. El año pasado comenzó con "Arthur" y "Bertha".

Las tormentas son nombradas para hacerlas más fáciles de identificar en mensajes de advertencia.

Los nombres son supervisados por la (OMM) y la lista se vuelve a utilizar cada seis años, aunque si algún huracán es particularmente devastador, su nombre se retira y se reemplaza.

La lista usa 21 de las 26 letras del alfabeto debido a la dificultad de encontrar fácilmente reconocibles con Q, U, X, Y y Z en inglés, español, francés y holandés, idiomas hablados en las regiones atlánticas y caribeñas afectadas.

"Dexter" reemplazará a "Dorian" en la lista de nombres; "Leah" reemplazará a "Laura".

Cuando ha habido más tormentas de las bautizadas en la lista, como sucedió en 2005 y 2020, se ha recurrido al alfabeto griego; sin embargo, la OMM dijo el miércoles que el alfabeto griego será reemplazado por una lista suplementaria de nombres.

"Es una fuente de distracción a la hora de avisar acerca de peligros y tormentas que, además, puede generar confusión", dijo la OMM.

En total, 93 nombres han sido retirados de las listas empleadas para la cuenca atlántica desde 1953, cuando empezó a utilizarse el sistema actual para bautizar a las tormentas.

JM

Temas

Lee También

Recibe las últimas noticias en tu e-mail

Todo lo que necesitas saber para comenzar tu día

Registrarse implica aceptar los Términos y Condiciones