México Capturan en Paraguay a 'El Abuelo', presunto líder de La Barredora 12 de septiembre de 2025 - 21:50 hs Corrupción Omar García Harfuch
Deportes Chivas con la encomienda de terminar el mal paso ante América en el Clásico Nacional 12 de septiembre de 2025 - 21:41 hs Chivas Club América
México ¿Cuánto gastan los mexicanos en refrescos al mes según el Inegi? 12 de septiembre de 2025 - 12:44 hs Instituto Nacional de Estadística y Geografía (INEGI) Salud
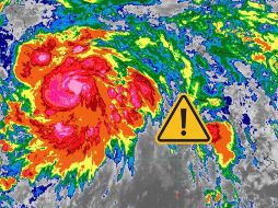
México Esta sería la trayectoria de la tormenta tropical "Mario" 12 de septiembre de 2025 - 12:05 hs Clima HOY Tormenta tropical
México Tormenta Tropical "Mario" se forma en el Pacífico; aquí se ubica 12 de septiembre de 2025 - 11:35 hs Clima HOY Tormenta tropical
México Martha Lidia Pérez es la nueva titular de la Comisión Nacional de Búsqueda 12 de septiembre de 2025 - 11:20 hs Martha Lidia Pérez Comisión Nacional de Búsqueda
México EN VIVO "La Mañanera del pueblo" de hoy 12 de septiembre de 2025 12 de septiembre de 2025 - 11:15 hs Claudia Sheinbaum La Mañanera
México Detienen a sujetos que transportaban kilos de heroína en Sonora 12 de septiembre de 2025 - 10:19 hs Seguridad Sonora
Jalisco Lluvia eléctrica permanecerá toda la tarde en Puerto Vallarta 12 de septiembre de 2025 - 09:42 hs Clima Puerto Vallarta