Jueves, 09 de Octubre 2025

Temporada ciclónica en el Atlántico será aún más activa de lo normal

AccuWeather prevé que habrá de 7 a 11 huracanes 

Por: EFE

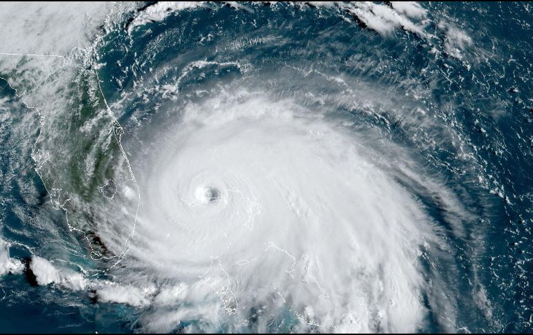
Se espera que de cuatro a seis de huracanes llegarán a categoría tres o más. AFP/NOAA/RAMMB/ARCHIVO

Se espera que de cuatro a seis de huracanes llegarán a categoría tres o más. AFP/NOAA/RAMMB/ARCHIVO

La compañía privada de servicios meteorológicos AccuWeather actualizó este jueves sus pronósticos para la temporada ciclónica 2020 en la cuenca atlántica, porque, aunque anunció que iba a ser por encima de lo normal, se quedó corta en las cifras de tormentas tropicales y huracanes.

En el pronóstico que actualiza el del 25 de marzo se agregan dos posibles tormentas tropicales para dejar un rango de 14 a 20, de las cuales entre 7 y 11 llegarán a ser huracanes, también dos más.

DE CUATRO A SEIS HURACANES MAYORES

Y la peor noticia de todas: de cuatro a seis de esos huracanes llegarán a categoría tres o más (en el anterior pronóstico eran de dos a cuatro), según un comunicado publicado este jueves.

Según el equipo de meteorólogos de AccuWeather que dirige Dan Kottlowksi, con 43 años de experiencia, entre cuatro y seis de los sistemas tropicales con nombre podrían impactar directamente en el territorio continental de Estados Unidos, Puerto Rico o las Islas Vírgenes estadounidenses.

El nuevo pronóstico de la compañía fundada en 1962 refuerza la idea de que la actividad ciclónica en el Atlántico será por encima de lo normal, como lo fue también en 2019, que ya estaba presente en el pronóstico de finales de marzo.

AUMENTA LA PREOCUPACIÓN

La información incrementa la preocupación en Florida, donde hay temor a que los esfuerzos centrados en la pandemia del COVID-19 reduzcan los necesarios para prepararse convenientemente para los huracanes, por no hablar del perjuicio adicional que pueden causar en su tocada economía los daños de un huracán.

Kottolowski señaló en el comunicado que el modelo climático que usan ha registrado una tendencia a que el fenómeno La Niña se desarrolle en la segunda mitad del verano de 2020.

"Eso puede significar una disminución de la cizalladura o corte vertical del viento que pueden limitar el desarrollo o intensificación de sistemas tropicales", agregó.

Con el nombre de cizalladura se conoce el cambio de velocidad o dirección del viento debido a la altitud. Es un fenómeno que puede hacer que las partes mas elevadas de una tormenta o huracán enfilen en la dirección contraria a la que el sistema se mueve,

SERÁ "MUY ACTIVA"

La temporada oficial de huracanes en la cuenca atlántica comienza el 1 de junio y concluye el 30 de noviembre, pero los dos últimos años ha habido actividad ciclónica en mayo, con las tormentas Andrea (2019) y Alberto (2018) antes del calendario oficial.

Kottlowksi dijo que va a ser una temporada "muy activa", lo cual no es nunca bueno para la región, pero este año puede ser aun peor por la pandemia de coronavirus.

Según el meteorólogo de AccuWeather, en una temporada normal se producen unas 12 tormentas tropicales y 6 huracanes. Los huracanes con mayor fuerza suelen ser a lo sumo tres.

Las cuatro últimas temporadas han sido por encima de lo normal.

La de 2019, según AccuWeather, fue excepcionalmente activa, solo equiparable a la de 1969, con 18 tormentas, huracanes potentes como Dorian, Lorenzo y Humberto y pérdidas y daños por 11mil millones de dólares.

¿REFUGIOS SOLO PARA CONTAGIADOS DE COVID-19?

Con cerca de 39 mil casos de COVID-19 y mil 600 muertes, Florida celebra en estos días la Semana de Preparación para los Huracanes, pero está pasando inadvertida por la pandemia y los primeros pasos del plan de reactivación de la economía.

El director de manejo de emergencias del estado, Jared Moskowitz, está trabajando con FEMA, la agencia federal para esos temas, sobre los posibles cambios que deberán hacerse en los planes de evacuación y refugio debido al COVID-19.

Según declaraciones publicadas este miércoles, se piensa en refugios solo para personas contagiadas y en ordenar a alguna gente quedarse en casa en lugar de evacuar sus viviendas.

IM

Temas

Lee También

Recibe las últimas noticias en tu e-mail

Todo lo que necesitas saber para comenzar tu día

Registrarse implica aceptar los Términos y Condiciones