Viernes, 10 de Octubre 2025

LO ÚLTIMO DE Internacional

Hawaianos abarrotan tiendas ante la llegada del huracán ''Lane''

Residentes de las islas orientales preparan víveres tras emitirse una advertencia por la llegada del fenómeno de categoría 5

Por: NTX

Ante la alerta, hombres y mujeres buscan abastecerse de alimentos enlatados, agua embotellada, artículos de higiene personal y hasta lámparas. AP / D. Fujimoto

Ante la alerta, hombres y mujeres buscan abastecerse de alimentos enlatados, agua embotellada, artículos de higiene personal y hasta lámparas. AP / D. Fujimoto

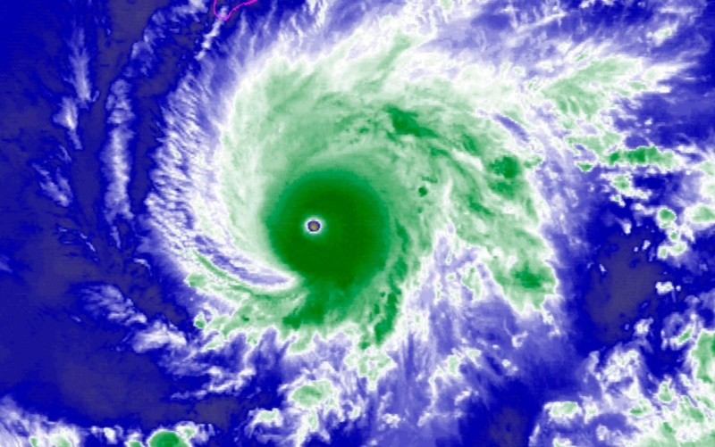
Los residentes de las islas orientales de Hawái abarrotan este miércoles centros comerciales y ferreterías ante la llegada del huracán ''Lane'', que durante la noche alcanzó la categoría 5 -la máxima- y podría alcanzar la Isla Grande por la tarde de este miércoles.

La Oficina de Previsión del Servicio Meteorológico Nacional de Honolulú emitió anoche una advertencia de huracán para la Isla Grande y una alerta para Oahu, Maui y otras islas más pequeñas, luego de que ''Lane'' llegó a la categoría 5 en la escala Saffir-Simpson, calificado como "extremadamente peligroso", por los potenciales daños catastróficos que dejaría a su paso.

El Centro de Huracanes del Pacífico Central alertó que ''Lane'' se movía hacia el oeste, acercándose peligrosamente a las principales islas de Hawái con vientos de aproximadamente 260 kilómetros por hora, aunque podría girar hacia el noroeste, alcanzado la costa esta tarde.

El huracán alcanzó la máxima categoría la noche del martes; podría llegar a la Isla Grande la tarde de este día. AP /

Ante la advertencia en la Isla Grande, hombres y mujeres abarrotaron desde muy temprano centros comerciales y tiendas para abastecerse de alimentos enlatados, agua embotellada, artículos de higiene personal, como toallas sanitarias y papel higiénico, así como otros suministros.

Las gasolineras registraban enormes filas, mientras que en las ferreterías se agotan los generadores de energía eléctrica, linternas, equipos de emergencia y otros artículos utilizados para la protección de puertas y ventanas, según un reporte del sitio Hawaii News Now.

Algunos de los compradores indicaron que la situación en los centros comerciales es un verdadero "caos", ya que tuvieron que esperar hasta cerca de una hora, tan sólo para encontrar un lugar para estacionarse.

Pese a que hay incertidumbre sobre el camino de ''Lane'', el Centro de Huracanes aseguró que es muy probable que la tormenta se mueva "muy cerca" de Hawái entre el jueves y el sábado. Incluso si el centro de ''Lane'' no toca tierra, las islas podrían ser golpeadas por lluvias torrenciales y fuertes vientos.

"Es demasiado pronto para determinar con certeza cuál de las principales islas hawaianas será impactada directamente por ''Lane'', indicó el meteorólogo Gavin Shigesato, alertando a la gente a prepararse para hacer frente a la tormenta.

El gobernador de Hawái, David Ige, ordenó el cierre de todas las escuelas públicas y permitió a los trabajadores no esenciales tomar una licencia administrativa hasta el próximo viernes. AP / D. Fujimoto

El gobernador de Hawái, David Ige, ordenó el cierre de todas las escuelas públicas en la Isla Grande y en el condado de Maui y permitió a los trabajadores estatales no esenciales tomar una licencia administrativa hasta el próximo viernes.

"Los empleados en las islas de Hawái y Maui que trabajan en respuesta a desastres, así como en hospitales y prisiones deben presentarse en sus puestos de trabajo", aclaró el gobernador, recordando que ''Lane'' podría ser el primer huracán peligroso en golpear la isla desde 1992.

La compañía Hawaiian Airlines, por su parte, ofreció a sus pasajeros cambios en sus reservas de vuelos, mientras que Young Brothers anunció la cancelación de todas las salidas de Honolulú desde miércoles y hasta el próximo sábado.

OF

Temas

Lee También

Recibe las últimas noticias en tu e-mail

Todo lo que necesitas saber para comenzar tu día

Registrarse implica aceptar los Términos y Condiciones