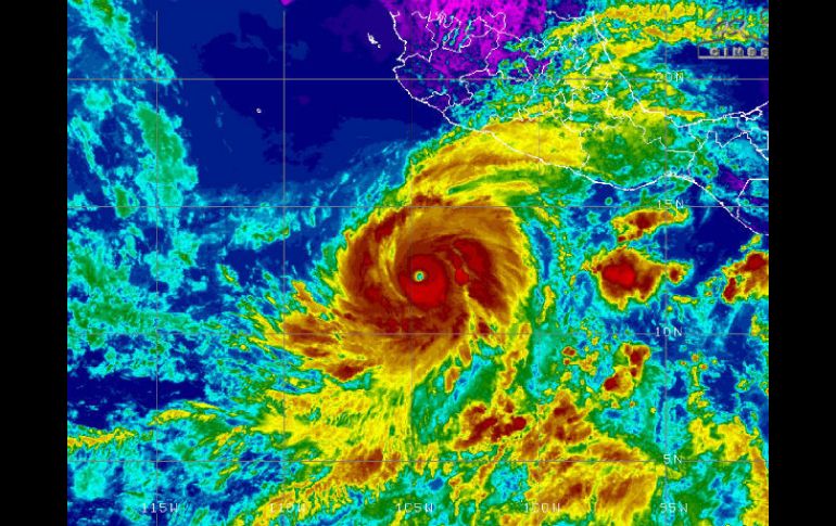
México | Esperan reunir información sobre el meteoro para saber si afectaría los comicios El INE, pendiente de eventualidades por huracán 'Blanca' Los consejeros esperan reunir información sobre el meteoro para saber si afectaría los comicios Por: SUN 3 de junio de 2015 - 14:49 hs El Instituto ha firmado un convenio con Protección Civil para tener informes de antemano sobre el acercamiento del fenómeno. AFP / CIMSS CIUDAD DE MÉXICO (03/JUN/2015).- El Instituto Nacional Electoral (INE) se declaró pendiente ante la eventualidad de que el huracán "Blanca" toque tierra en Baja California Sur y la costa norte del país el próximo domingo, día de la jornada electoral. El consejero presidente de las Comisiones Unidas de Organización y Capacitación Electoral, Arturo Sánchez, planteó que de ser necesario podrían reubicarse casillas, pero por ahora sólo se está en espera de reunir información sobre el meteoro para saber su fuerza y si podría haber o no afectación. "Estamos haciendo el estudio, queremos ser muy responsables al respecto, no podemos tomar decisiones que apaniquen a la gente", planteó Sánchez Gutiérrez. Pidió tener un poco de paciencia pero garantizó que antes del domingo resolverán si deciden mover o no casillas. Recordó que se firmó un convenio con la Secretaría de Gobernación y su Dirección de Protección Civil para tener informes de antemano. "Estamos ubicando casillas para ver si hay necesidad de mover algunas, si la gravedad del meteoro será suficientemente fuerte para tomar decisiones pero hasta que la naturaleza hable no podemos todavía adelantar vísperas pero creo que hay que esperar". Estamos esperando -indicó- la información de protección Civil que nos ayude a generar escenarios y ver qué pasa con los vientos y las lluvias en estos días, no es nada más Baja California es toda la costa norte del país. Pronóstico del trayecto de "Blanca" para los próximos días Temas Política Huracanes Clima INE - Instituto Nacional Electoral Elecciones intermedias México 2015 Lee También ¿LLUVIA en GDL por la noche?, pronóstico del clima para hoy, 10 de octubre Fallece influencer Fede Dorcaz en presunto intento de robo en la CDMX Autoridades despliegan elementos para apoyar a la población afectada por las lluvias Poza Rica, inundado por desbordamiento del río Cazones Recibe las últimas noticias en tu e-mail Todo lo que necesitas saber para comenzar tu día Registrarse implica aceptar los Términos y Condiciones