2 Internacional Detienen en Turquía a 357 sospechosos de pertenecer al grupo terrorista Estado Islámico
4 Internacional Trump elogia a Netanyahu y afirma que Israel 'tal vez ya no existiría' sin su liderazgo
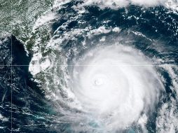
México ¿Por qué es más activa la Temporada de Huracanes este 2023? 7 de julio de 2023 - 21:25 hs Clima Fenómenos Naturales
Jalisco "Calvin", a nada de desarrollarse al suroeste de las costas de Jalisco 7 de julio de 2023 - 07:50 hs Clima Ciclones
México Ciclón Tropical "Dora" ya tiene fecha para convertirse en huracán 6 de julio de 2023 - 20:20 hs Ciclones Lluvias
Internacional Prevén aumento de huracanes en el Atlántico por "calor anómalo extremo" 6 de julio de 2023 - 14:05 hs Clima Cambio Climático
Jalisco "Calvin", más cerca de desarrollarse frente a costas de Jalisco 6 de julio de 2023 - 13:08 hs Clima Ciclones
México Tendencia de lluvias hoy jueves en estados de México 6 de julio de 2023 - 08:20 hs Clima Temporada de lluvias
Jalisco Sube posibilidad de que "Calvin" se forme cerca de Jalisco 6 de julio de 2023 - 07:54 hs Clima Ciclones
México ¿Cuándo llega "Dora" a México y qué estados serían afectados? 5 de julio de 2023 - 14:12 hs Clima Ciclones