México México muestra solidaridad a Filipinas por tifón 9 de noviembre de 2013 - 13:14 hs Gobierno de México SRE
Internacional La Cruz Roja estima mil 200 muertos por tifón en Filipinas 9 de noviembre de 2013 - 12:16 hs Asia Desastres Naturales
Internacional Tifón deja al menos 100 muertos en Filipinas 8 de noviembre de 2013 - 19:41 hs Asia Desastres Naturales
Internacional Al menos tres muertos por supertifón 'Haiyan' 8 de noviembre de 2013 - 09:11 hs Asia Desastres Naturales
Internacional Supertifón ''Haiyan'' golpea Filipinas; 125 mil evacuados 8 de noviembre de 2013 - 01:19 hs Asia Desastres Naturales
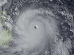
Internacional Súper tifón 'Haiyan' toca tierra en Filipinas 7 de noviembre de 2013 - 18:32 hs Asia Tormentas
Internacional Tifón ''Haiyan'' amenaza islas centrales de Filipinas 7 de noviembre de 2013 - 07:30 hs Asia Huracanes
Internacional Se eleva a 190 la cifra de muertos por terremoto en Filipinas 21 de octubre de 2013 - 21:49 hs Asia Muertes
Internacional Choque múltiple en Filipinas mata al menos a 19 personas 19 de octubre de 2013 - 06:36 hs Asia Accidentes en el mundo