Internacional Conflicto en el sur de Yemen deja 22 muertos 20 de noviembre de 2015 - 04:23 hs Medio Oriente Terrorismo
Internacional Fallecen once personas tras bombardeo en Yemen 5 de noviembre de 2015 - 03:02 hs Medio Oriente Terrorismo
Internacional La OMS prepara enviar ayuda por ciclón 'Chapala' en Yemen 3 de noviembre de 2015 - 07:17 hs Medio Oriente Desastres Naturales
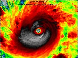
Internacional Bautizan como 'Chapala' a inusual ciclón en oriente próximo 30 de octubre de 2015 - 12:08 hs Asia Medio Oriente
Internacional Arabia Saudí niega haber bombardeado hospital en Yemen 28 de octubre de 2015 - 16:51 hs Medio Oriente Arabia Saudita
Internacional Ataque aéreo destruyó un centro médico en Yemen: MSF 27 de octubre de 2015 - 06:51 hs Medio Oriente Atentados
Internacional 70 mil inmigrantes y refugiados llegaron a Yemen este año 27 de octubre de 2015 - 05:14 hs Medio Oriente Inmigrantes
Internacional Ejército yemení ataca una base aérea saudí 15 de octubre de 2015 - 03:58 hs Medio Oriente Guerras
Internacional Mueren 26 tras atentado en una boda, en Yemen 8 de octubre de 2015 - 03:19 hs Atentados Arabia Saudita