Internacional Mueren cinco terroristas durante intento de secuestro en Filipinas 7 de mayo de 2015 - 07:28 hs Asia Islam
Internacional Crucificados y flagelados en el Viernes Santo de Filipinas 3 de abril de 2015 - 08:10 hs Asia Semana Santa
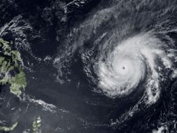
Internacional Filipinas, en alerta máxima por cercanía de tifón 'Maysak' 1 de abril de 2015 - 16:32 hs Asia Océanos
Cultura Multimillonario encuentra un buque japonés hundido en aguas filipinas 4 de marzo de 2015 - 12:36 hs Hallazgos Patrimonio
Internacional Niña cuestiona al Papa por qué Dios permite la prostitución infantil 21 de enero de 2015 - 10:33 hs Asia Niños de la calle
Internacional Los católicos no deben portarse 'como conejos': Papa Francisco 19 de enero de 2015 - 17:01 hs Europa Iglesia Católica
Internacional El Papa parte de Manila tras una semana en Asia 18 de enero de 2015 - 21:33 hs Asia Iglesia Católica
Internacional Millones de filipinos despiden al Papa Francisco 18 de enero de 2015 - 07:07 hs Asia Iglesia Católica
Internacional Aclara Lombardi declaraciones del Papa Francisco 17 de enero de 2015 - 07:27 hs Asia Iglesia Católica