Martes, 28 de Octubre 2025

¿Por qué el huracán Melissa es considerado peligroso?

Melissa alcanzó vientos sostenidos de vientos de 300 km/h al tocar tierra en Jamaica como huracán categoría 5

Por: El Informador

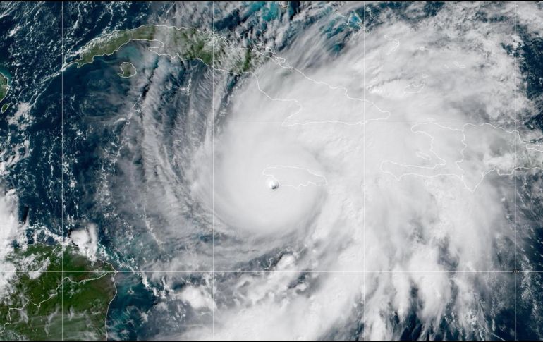
Imagen satelital que muestra al huracán Melissa, de categoría 5, aproximándose a Jamaica este martes. EFE

Imagen satelital que muestra al huracán Melissa, de categoría 5, aproximándose a Jamaica este martes. EFE

El huracán Melissa se ha convertido en una de las amenazas más graves que afronta el Caribe este año, y el motivo radica en una combinación de condiciones meteorológicas extremas que lo equiparan al nivel de los ciclones más destructivos.

De acuerdo con el Centro Nacional de Huracanes de Estados Unidos (NHC), Melissa alcanzó vientos sostenidos de vientos de 300 km/h al tocar tierra en Jamaica en categoría 5.

Este fenómeno no solo se caracteriza por la fuerza de sus vientos, sino también por su desplazamiento lento y la magnitud de su campo de influencia, que abarca desde Jamaica hasta Cuba y las Bahamas.

La acumulación de lluvias torrenciales, la marejada ciclónica y el riesgo de deslizamientos de tierra conformaron un escenario de alto peligro, especialmente para las comunidades costeras y las zonas montañosas del Caribe.

¿Por qué es considerado peligroso?

Uno de los principales elementos que agrava su peligro es su movimiento lento. Melissa avanzó hacia Jamaica a apenas 3-6 km/h, lo que mantuvo sus vientos y bandas de lluvia sobre las mismas zonas durante horas, esta lentitud prolonga la exposición a tormentas intensas, incrementa las inundaciones y favorece la formación de marejadas ciclónicas que elevan el nivel del mar y lo empujan hacia la costa.

Otro factor que potenció a Melissa fueron las temperaturas anormalmente cálidas del Caribe occidental, cercanas a los 30 °C, varios grados por encima del promedio, estas aguas proporcionan energía adicional al huracán, permitiendo que se intensifique con rapidez. Así, la velocidad del viento pasó de 115 km/h a casi 300 km/h en cuestión de días, convirtiéndolo en uno de los huracanes más fuertes registrados en la región. La combinación de calor oceánico y humedad ha sido clave para que el sistema alcanzara esta magnitud.

La ausencia de cizalladura del viento —cambios bruscos en velocidad o dirección con la altura— también ha favorecido su desarrollo, pues sin estos factores que suelen debilitar los huracanes, Melissa ha podido crecer y mantener su intensidad durante varios días, con una presión central que descendió a niveles extremadamente bajos, similares a los de huracanes históricos como Katrina. Esta baja presión genera vientos violentos y refuerza su poder destructivo, consolidándolo como uno de los sistemas más potentes del Atlántico en lo que va del siglo.

En conjunto, el lento avance, las aguas cálidas y la estabilidad atmosférica explican por qué Melissa representa un riesgo tan grave. Estas condiciones han creado un huracán de gran duración, con lluvias torrenciales, vientos extremos y marejadas ciclónicas, capaz de causar daños generalizados y prolongados en las regiones afectadas.

YC

Temas

Recibe las últimas noticias en tu e-mail

Todo lo que necesitas saber para comenzar tu día

Registrarse implica aceptar los Términos y Condiciones