2 Jalisco Funcionarios de Jalisco destacan coordinación y alcances del primer año de Karla Planter como rectora
3 Internacional Operativo masivo en EU: rescatan a mil 500 Beagles de centro de experimentación animal
México César Camacho pide evitar magnificar hechos violentos en Oaxaca 3 de junio de 2015 - 19:43 hs PRI Estados
México Guía electoral 2015: Pasos para buscar a tus candidatos 3 de junio de 2015 - 19:01 hs Estados INE - Instituto Nacional Electoral
México Observadora de la OEA reprueba violencia de la CNTE 3 de junio de 2015 - 18:28 hs Política OEA
México El INE alista acuerdo para permitir sedes alternas 3 de junio de 2015 - 16:42 hs Política Oaxaca
México Habrá Ley Seca en el Distrito Federal por elecciones 3 de junio de 2015 - 16:00 hs Estados Distrito Federal
México Madero exige a Peña Nieto garantizar paz en comicios 3 de junio de 2015 - 15:47 hs PAN Política
México Manifestantes y policías se enfrentan en Chilpancingo 3 de junio de 2015 - 15:16 hs Estados Guerrero
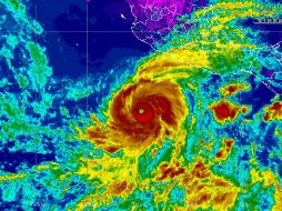
México El INE, pendiente de eventualidades por huracán 'Blanca' 3 de junio de 2015 - 14:49 hs Política Huracanes