4 Jalisco Inauguran Congresos Internacionales de Medicina y Enfermería con llamado a innovar en salud
México "Sergio" aumenta de intensidad y afectará a cuatro estados 11 de octubre de 2018 - 18:14 hs Clima SMN
México Tormenta ''Sergio'' está cerca de Cabo San Lázaro, BCS 11 de octubre de 2018 - 10:41 hs Protección Civil Estados
México Establecen zona de vigilancia en costa de BCS por ''Sergio'' 10 de octubre de 2018 - 10:20 hs Clima Lluvias en el país
México Reportan sismo de magnitud 4.6 en San José del Cabo 8 de octubre de 2018 - 08:13 hs Sismos Sismos nacional
Suplementos Los Prismas Basálticos de Comondú 7 de octubre de 2018 - 01:00 hs Pasaporte Baja California Sur
México Forenses hallan utensilios usados por "El Pozolero" en desapariciones 5 de octubre de 2018 - 17:53 hs SEIDO Crimen Organizado
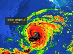
México Reportan saldo blanco en Baja California tras paso de ''Rosa'' 3 de octubre de 2018 - 12:01 hs Ciclones Huracanes
México Rosa se degrada a depresión tropical en la costa de Baja California 2 de octubre de 2018 - 04:20 hs Estados Clima
México "Rosa" tocará tierra en Baja California a medianoche 1 de octubre de 2018 - 20:40 hs Estados Sonora