Tecnología
Europa y Norteamérica se reúnen
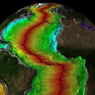
Dentro de 220 millones de años el océano Atlántico será un recuerdo y los dos continentes estarán unidos
CIUDAD DE MÉXICO (01/JUN/2013).- Dentro de 220 millones de años, Estados Unidos será un vecino muy cercano de la Península Ibérica. Esto según las previsiones del geólogo portugués Joao Duarte.
Las fronteras entre dos placas donde una se sumerge bajo la otra y se recicla se llaman zonas de subducción. En este caso, lo que Duarte y su equipo describen es que actualmente la humanidad está presenciando el nacimiento de una zona de este tipo justo en el océano Atlántico.
“La idea del inicio de una subducción ha rondado en la comunidad geológica durante casi 20 años”, dijo Duarte. “Lo que hemos detectado es el comienzo de un margen activo; es como una zona de subducción embrionaria”, agregó el científico.
Según el trabajo de este investigador de la Universidad de Monash, Australia, esta nueva zona se encuentra al suroeste de la Península Ibérica, publicó la revista Geology.
La superficie terrestre está dividida en placas tectónicas en constante transformación. De esta manera -si el pronóstico de Duarte es cierto- Europa y Norteamérica se aproximarán, y lo que hoy conocemos como océano Atlántico será parte del pasado.
El especialista indica que el planeta está ante una nueva fase del ciclo de Wilson, un proceso que en los últimos cuatro mil millones de años modificó las formaciones continentales de la Tierra en al menos tres ocasiones.
“La placa euroasiática, que ahora se extiende de forma continua hasta la dorsal mesoatlántica, se romperá en dos a lo largo del margen al oeste de Portugal y Galicia (…) La parte atlántica de la corteza, al oeste de este margen, quedará destruida al sumergirse en el manto bajo la Península Ibérica”, pronostica.
Gracias a un mapeo en tercera dimensión y alta resolución del fondo marino y de sus fallas tectónicas, realizado por tecnologías de sonar, se encontraron signos de fracturas que indican que el borde de la placa de Iberia, una zona caracterizada por su pasividad, se está activando.
Duarte relaciona esta incipiente actividad tectónica con sismos históricos y la identificación -en 2002- de una vieja zona de subducción activa debajo de Gibraltar.
“Compilando los datos y reinterpretándolos, encontramos pruebas del nacimiento de una subducción, que probablemente comenzó hace entre 20 y 5 millones de años. Además, hemos aportado un mecanismo para la reactivación del margen, consistente en fuerzas que se propagan desde la subducción de Gibraltar, junto con la convergencia entre África y Eurasia”, concluyó.
Sin embargo, no debe correr el pánico. Los geólogos indican que el borde suroeste de la placa ibérica no se convertirá en esta enorme zona de subducción hasta dentro de aproximadamente 20 millones de años, mientras que para que el Viejo Continente y Norteamérica se unan deberán pasar 220 millones de años.
Sinembargo.mx
Las fronteras entre dos placas donde una se sumerge bajo la otra y se recicla se llaman zonas de subducción. En este caso, lo que Duarte y su equipo describen es que actualmente la humanidad está presenciando el nacimiento de una zona de este tipo justo en el océano Atlántico.
“La idea del inicio de una subducción ha rondado en la comunidad geológica durante casi 20 años”, dijo Duarte. “Lo que hemos detectado es el comienzo de un margen activo; es como una zona de subducción embrionaria”, agregó el científico.
Según el trabajo de este investigador de la Universidad de Monash, Australia, esta nueva zona se encuentra al suroeste de la Península Ibérica, publicó la revista Geology.
La superficie terrestre está dividida en placas tectónicas en constante transformación. De esta manera -si el pronóstico de Duarte es cierto- Europa y Norteamérica se aproximarán, y lo que hoy conocemos como océano Atlántico será parte del pasado.
El especialista indica que el planeta está ante una nueva fase del ciclo de Wilson, un proceso que en los últimos cuatro mil millones de años modificó las formaciones continentales de la Tierra en al menos tres ocasiones.
“La placa euroasiática, que ahora se extiende de forma continua hasta la dorsal mesoatlántica, se romperá en dos a lo largo del margen al oeste de Portugal y Galicia (…) La parte atlántica de la corteza, al oeste de este margen, quedará destruida al sumergirse en el manto bajo la Península Ibérica”, pronostica.
Gracias a un mapeo en tercera dimensión y alta resolución del fondo marino y de sus fallas tectónicas, realizado por tecnologías de sonar, se encontraron signos de fracturas que indican que el borde de la placa de Iberia, una zona caracterizada por su pasividad, se está activando.
Duarte relaciona esta incipiente actividad tectónica con sismos históricos y la identificación -en 2002- de una vieja zona de subducción activa debajo de Gibraltar.
“Compilando los datos y reinterpretándolos, encontramos pruebas del nacimiento de una subducción, que probablemente comenzó hace entre 20 y 5 millones de años. Además, hemos aportado un mecanismo para la reactivación del margen, consistente en fuerzas que se propagan desde la subducción de Gibraltar, junto con la convergencia entre África y Eurasia”, concluyó.
Sin embargo, no debe correr el pánico. Los geólogos indican que el borde suroeste de la placa ibérica no se convertirá en esta enorme zona de subducción hasta dentro de aproximadamente 20 millones de años, mientras que para que el Viejo Continente y Norteamérica se unan deberán pasar 220 millones de años.
Sinembargo.mx